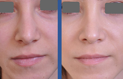
Rhinoplasty Case 54 Back to Rhinoplasty Photo Gallery Home Previous Patient Next Patient Previous Next Gender Female Description This patient had Primary Rhinoplasty. Previous Patient Next Patient